HIRDETMÉNY - MÓR JEGENYE UTCAI TELKEK ÉRTÉKESÍTÉSE

létrehozva: 2024. 06. 20.
frissítve: 2024. 06. 20.

 

Mór Városi Önkormányzat (8060 Mór, Szt. István tér 6.)

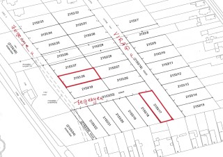
a tulajdonában levő Mór Jegenye utcában

kialakított kivett beépítetlen terület

megnevezésű tehermentes ingatlanokat

értékesítésre meghirdeti építési telkek céljára.

A szabályozási terv Lke-2 jelű kertvárosias lakóterület besorolása szerint maximum 5,5 m-es építménymagasságú, a beépítési mód oldalhatáron álló, az épület az oldalhatáron álló beépítési módnak és az országos építési előírásoknak megfelelően meghatározott építési helyen belül helyezhető el, a terület maximális beépíthetősége 30%, a területen a zölddel való fedettség legalább 50%.

A 2024. július 31-i liciteljáráson az ingatlanok kikiáltási ára: (a liciteljárás induló összege)

Hrsz

Terület nagyság (m2)

Kikiáltási ár Ft (bruttó)

2153/17

1002

11.100.000

2153/38

1033

8.655.000

A licitösszeg emelésének mértéke 100.000,- Ft (licitküszöb).

A nyertes licitálóval a licit napjától számított 15 napon belül kell adásvételi szerződést kötni. A szerződéskötést követően az önkormányzat megkeresi a Magyar Államot az őt megillető elővásárlási jog kapcsán. A szerződés csak a nemleges nyilatkozat birtokában, vagy 35 napos válaszadási kötelezettség letelte után lesz hatályos. Az ingatlan vételárát a szerződés hatályba lépését követő 8 napon belül egy összegben kell megfizetni.

Amennyiben a szerződés megkötésére az ajánlattevő hibájából nem kerül sor, a befizetett foglaló (bánatpénz) a kiírót illeti meg.

A nyertes licitáló a vételár hiánytalan kifizetését követően veheti birtokba az ingatlant.

Az adásvételi szerződésben az ingatlan beépítésére vonatkozóan az alábbi kikötések kerülnek rögzítésre:

 - a tulajdonost terhelő beépítési kötelezettség melynek időtartama: a szerződés illetékkiszabásra történő bemutatásától számított 4 év,

 - a beépítési kötelezettség elmulasztása esetén a vevőnek kötbért kell fizetni, melynek mértéke az ingatlan vételárának 5%-a minden késedelmes év után

 - az elektromos áram-, földgáz közművek, víz és szennyvízcsatorna-hálózat kiépültek,

 - elidegenítési tilalom bejegyeztetése a beépítés biztosítására

A liciteljárás eredménye ellen nincs jogorvoslatnak helye.

Az ajánlattevőnek a vételi szándéka bizonyítására 1.000.000,- Ft foglalót (bánatpénzt) a liciteljárás meghirdetőjének az Erste Banknál vezetett 11600006-00000000-76354634 számú számlájára a liciteljárás napját megelőző nap 12 órájáig be kell fizetnie ingatlanonként. A foglaló befizetéséről szóló igazolást a jelentkezéshez mellékelni kell. A kiíró ezzel az összeggel az önkormányzat vagyonrendeletében - 21/2016. (VII.6.) önkormányzati rendelet - a foglalóra meghatározott szabályok alapján rendelkezik. A nyertes ajánlattevő bánatpénzét a vételárba be kell számítani. A foglalót a liciteljárást követően – a nyertes licitáló kivételével – a licitálóknak 15 napon belül vissza kell téríteni, avagy a licitáló másik ingatlanra vonatkozóan kérheti a foglalót figyelembe venni.

Érvényes ajánlatot csak az tehet, aki a bánatpénzt befizette a liciteljárás napját megelőző nap 12 órájáig.

A liciteljáráson történő részvételre, a szerződés megkötésére vonatkozó szabályokat tartalmazó felhívás a „JELENTKEZÉSI ÉS NYILATKOZATI LAP”-pal együtt a Móri Polgármesteri Hivatal Városfejlesztési és -üzemeltetési Irodáján átvehető. Érdeklődni, további információt kérni 22/560-861 telefonszámon lehet.

A liciteljárásra történő jelentkezést a Móri Polgármesteri Hivatal Városfejlesztési és -üzemeltetési Irodáján (Mór, Szent István tér 6., földszint 2. számú iroda) kell leadni 2024. július 30-án 16:00 óráig. A liciteljárásra a Móri Polgármesteri Hivatal (Mór, Szent István tér 6.) emeleti Kistermében 2024. július 31-én 14:00 órakor kerül sor.

A kiíró az ajánlati felhívást a liciteljárás kezdetéig egyoldalúan visszavonhatja.

 

Dokumentumok

További hírek:

...

Az alábbiakban tájékoztatjuk a Tisztelt Lakosságot

az Egészségvonal elérhetőségéről, céljáról,

az időpontfoglalás módjáról, továbbá

az EgészségAblak applikáció

használatáról szóló tájékoztató eléréséről.

 

 

Magyarország átfogó egészségvédelmi szűrőprogramja

2010-2020-2030 keretében megvalósuló

NÉPEGÉSZSÉGÜGYI ROADSHOW MÓRON.

IDŐPONT: 2025. október 15.

HELYSZÍN:  Wekerle Sándor Szabadidő Központ (8060 Mór, Táncsics Mihály u. 25.)

NYITVATARTÁS:  9.00-16.00 (Megnyitó - sorszámok kiadása 9.00)

 

Mór Városi Önkormányzat a Kulturális és Innovációs Minisztériummal együttműködve, a felsőoktatásban részt vevő hallgatók juttatásairól és az általuk fizetendő egyes térítésekről szóló 51/2007. (III. 26.) Kormányrendelet alapján ezennel kiírja a 2026. évre a Bursa Hungarica Felsőoktatási Önkormányzati Ösztöndíjpályázatot felsőoktatási tanulmányokat kezdeni kívánó fiatalok számára, összhangban

Mór Városi Önkormányzat a Kulturális és Innovációs Minisztériummal együttműködve,  a felsőoktatásban részt vevő hallgatók juttatásairól és az általuk fizetendő egyes térítésekről szóló 51/2007. (III. 26.) Kormányrendelet alapján ezennel kiírja a 2026. évre a Bursa Hungarica Felsőoktatási Önkormányzati Ösztöndíjpályázatot  felsőoktatási hallgatók számára a 2025/2026. tanév második és a 2026/2027. tanév első félévére vonatkozóan, összhangban

A Helyi Önkormányzatok Napja és az állami anyakönyvvezetés bevezetésének 130. évfordulója alkalmából átadták a Közigazgatás Szolgálatáért Érdemérmeket. A megtisztelő és rangos eseménynek 2025. szeptember 30-án a Magyar Tudományos Akadémia Díszterme adott helyszínt, ahol Dr. Navracsics Tibor közigazgatási és területfejlesztési miniszter nyújtotta át a díszokleveleket és érdemérmeket. Az ünnepélyes átadón Szehofnerné Széber Zsuzsanna, a Móri Polgármesteri Hivatal anyakönyvvezetője is miniszteri elismerésben részesült.