Mór Városi Önkormányzat
értékesíteni kívánja a tulajdonában levő
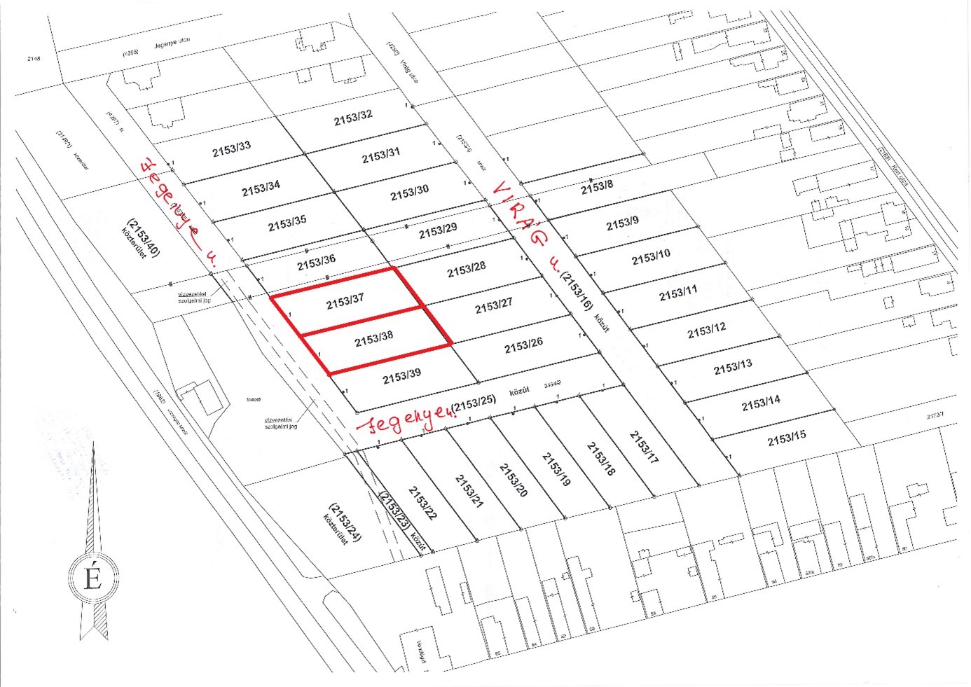
Mór 2153/37 és a 2153/38 hrsz-ú
kivett beépítetlen terület megnevezésű tehermentes
Jegenye utcai ingatlanokat.
A jelentkezést írásban a Móri Polgármesteri Hivatal Városfejlesztési és -üzemeltetési Irodáján (Mór, Szent István tér 6., földszint 2. sz. iroda 2024. május 7-én, 16 óráig lehet benyújtani „építési telek-vásárlás” felirattal ellátott zárt borítékban, melynek tartalmaznia kell:
- licitáló személyes adatai,
- nyilatkozatot arról, hogy a licitáló a hirdetményben és felhívásban szereplő valamennyi feltételt elfogadja,
- nyilatkozatot arról, hogy a licit napjától számított 50 napi időtartamra
ajánlati kötöttséget vállal,
- nyilatkozat az ingatlan vételárának megfizetési módjáról,
- nyilatkozatot arról, hogy az ingatlant megtekintette, tájékozódott annak állapotáról, ajánlatát elegendő információ birtokában, külső befolyástól mentesen alakította ki,
- nyilatkozatot arról, hogy szerződéskötési képességében nincs korlátozva,
- nyilatkozat a beépítéssel kapcsolatos kikötések tudomásul vételéről.
A kitöltött és benyújtott „jelentkezési és nyilatkozati lappal” lehet a liciteljárásra jelentkezni.
A kitöltött és benyújtott „jelentkezési és nyilatkozati lappal” lehet a liciteljárásra jelentkezni.
Az ingatlan kikiáltási ár, mely alapján liciteljárás lefolytatásra kerül:
| Hrsz |
Terület nagyság (m2) |
Kikiáltási ár Ft (bruttó) |
|
2153/37 |
1033 |
8.655.000 |
|
2153/38 |
1033 |
8.655.000 |
Az ingatlan vételárának megfizetésére vonatkozó szabályok: az ingatlan vételárát a szerződés hatályba lépését követő 8 napon belül egy összegben kell megfizetni.
A liciteljárás szabályai és lefolytatása:
- a liciteljárást 1 nap alatt kell lebonyolítani,
- a licit emelésének mértéke 100.000, - Ft, (licitküszöb)
- a liciteljárást az önkormányzat vagyonáról és a vagyontárgyak feletti tulajdonosi jogok gyakorlásáról szóló 21/2016. (VII.6.) önkormányzati rendelet 6. sz. mellékletében meghatározott 3 fős munkacsoport bonyolítja le.
A liciteljárást levezető személy biztosítja, hogy egy adott ingatlanra csak az arra jogosult jelentkezők, vagy meghatalmazottaik tehessenek ajánlatot. Az eljáráson – a lebonyolításban közreműködő munkatársakon kívül – csak az ajánlattételre jogosultak lehetnek jelen.
Az eljárás vezetője ismerteti a licit tárgyát. A licitálást mindaddig kell folytatni, amíg a jelentkezők a magasabb vételárra ajánlatot tesznek. Ha további ajánlat nincs, az eljárás vezetője a megajánlott legmagasabb vételárat háromszor bejelenti, azt leüti és közli annak nevét, aki a legmagasabb összegű árajánlatot tette és ezzel a licitet megnyerte. A liciteljárás zökkenőmentes lebonyolítása érdekében az ajánlattevők szóbeli licitálása helyett, előre kiosztott és sorszámozott táblával történő licitálással történik.
Ha az ingatlan meghatározott alapárára nem érkezik ajánlat az eljárás vezetője az ingatlanra vonatkozóan a liciteljárást eredménytelennek nyilvánítja.
Az ajánlattevőnek a vételi szándéka bizonyítására 1.000.000, - Ft foglalót (bánatpénzt) a pályázat kiírójának az Erste Banknál vezetett 11600006-00000000-76354634 számú számlájára a liciteljárás megkezdése előtti nap 12 óráig be kell fizetnie. A foglaló befizetéséről szóló igazolást a jelentkezéshez mellékelni kell. A kiíró ezzel az összeggel az önkormányzat vagyonrendeletében - 21/2016. (VII.6.) önkormányzati rendelet - a foglalóra meghatározott szabályok alapján rendelkezik. A nyertes ajánlattevő bánatpénzét a vételárba be kell számítani. A foglalót a liciteljárást követően – a nyertes licitáló kivételével – a licitálóknak 15 napon belül vissza kell téríteni.
A szerződéskötésre vonatkozó kötelezettségek és jogok:
Az ajánlattevő tudomásul veszi azt, hogy a nyertes licitáló a licit napjától számított 15 napon belül köteles adásvételi szerződést kötni. Amennyiben a szerződés megkötésére az ajánlattevő hibájából nem kerül sor, a befizetett foglaló (bánatpénz) a kiírót illeti meg.
A nyertes licitáló a vételár hiánytalan kifizetését követően veheti birtokba az ingatlant. A birtokbavételtől kezdve viseli a terheket, a kárveszélyt és szedi az ingatlan hasznait.
Az adásvételi szerződésben az ingatlan beépítésére vonatkozóan az alábbi kikötések kerülnek rögzítésre:
- az ingatlanon a szerződés illetékkiszabásra történő bemutatásától számított 4 éven belül lakóházat épít és a felépített lakóházban a lakás(ok) hasznos alapterülete eléri a településrendezési tervben meghatározott maximális beépíthetőség legalább 10%-át
- a beépítési kötelezettség elmulasztása esetén a vevőnek kötbért kell fizetni, melynek mértéke az ingatlan vételárának 5%-a minden késedelmes év után
- az elektromos áram, gáz, víz -szennyvízcsatorna-hálózat kiépültek.
- elidegenítési tilalom bejegyeztetése a beépítés biztosítására
A liciteljárás eredménye ellen nincs jogorvoslatnak helye.
Érvényességi követelmények:
Érvénytelen a jelentkezés:
- melyet olyan jogi vagy természetes személy nyújtott be, aki nem vehet részt a liciten,
- amelyet nem a kiírásban meghatározott határidőig nyújtottak be.
A beérkezett jelentkezések bontására a liciteljárás lefolytatása előtt 2024. május 8-án, 13:00 órakor kerül sor a Polgármesteri Hivatal emeleti kistermében.
Az eljárás során az önkormányzat vagyonáról és a vagyontárgyak feletti tulajdonosi jogok gyakorlásáról szóló 21/2016. (VII.6.) önkormányzati rendelet az irányadó.
Felhívom a liciteljárásra jelentkezők figyelmét, hogy a szabályozási terv Lke2 besorolása szerint az ingatlanra a jelenleg hatályos helyi építési előírások szerint maximálisan 30 %-os beépítési százalékkal, oldalhatáron álló építési helyen belül, maximum 5,5 m-es építménymagasságú épület helyezhető el, a területen a zölddel való fedettség legalább 50%.
Felhívom a figyelmet arra, hogy a liciteljáráson csak az a jelentkező vehet részt, aki a jelentkezését az előírt tartalommal és határidőben benyújtotta.
A liciteljárásra történő jelentkezést a Móri Polgármesteri Hivatal Városfejlesztési és -üzemeltetési Irodáján (Mór, Szent István tér 6., földszint 2. számú iroda) kell leadni 2024. május 7-én 16:00 óráig. A liciteljárásra a Móri Polgármesteri Hivatal (Mór, Szent István tér 6.) emeleti Kistermében 2024. május 8-án 14:00 órakor kerül sor.
Érdeklődni, további információt kérni 22/560-861 telefonszámon lehet.
| Csatolmány | Méret |
|---|---|
| Adatkezelési tájékoztató liciteljáráshoz | 44.72 KB |


