HIRDETMÉNY - MÓR JEGENYE UTCAI TELKEK ÉRTÉKESÍTÉSE

létrehozva: 2023. 12. 12.
frissítve: 2023. 12. 12.

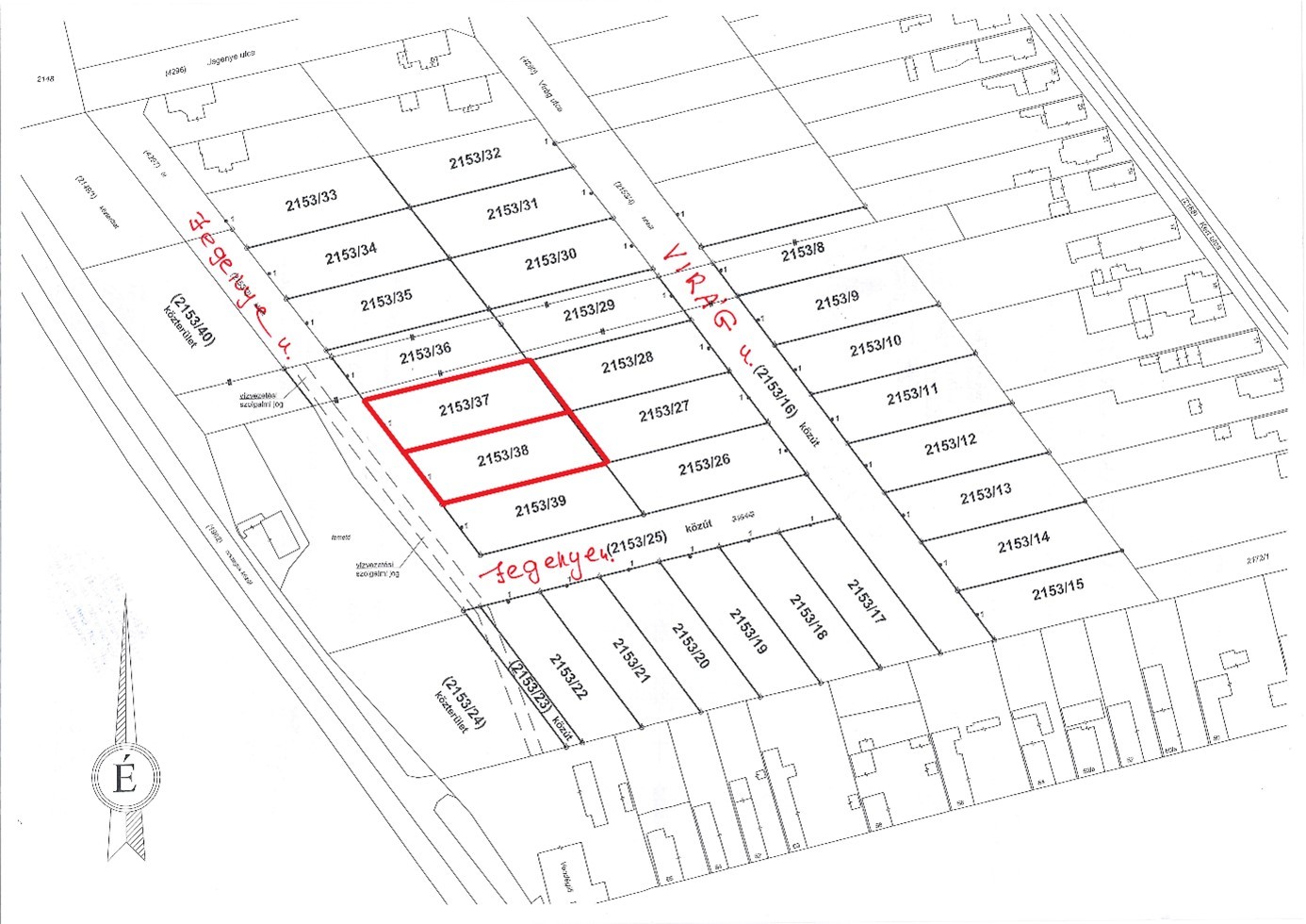
Mór Városi Önkormányzat (8060 Mór, Szt. István tér 6.) a tulajdonában levő Mór Jegenye utcában kialakított kivett beépítetlen terület megnevezésű tehermentes ingatlanokat értékesítésre meghirdeti építési telkek céljára.

A szabályozási terv Lke2 besorolása szerint az ingatlanra a jelenleg hatályos helyi építési előírások szerint maximálisan 30 %-os beépítési százalékkal, oldalhatáron álló építési helyen belül, maximum 5,5 m-es építménymagasságú épület helyezhető el, a területen a zölddel való fedettség legalább 50%.

A 2024. január 24-i liciteljáráson az ingatlanok kikiáltási ára: (a liciteljárás induló összege)

Hrsz

Terület nagyság (m2)

Kikiáltási ár Ft (bruttó)

2153/37

1033 8.655.000
2153/38 1033 8.655.000

A licitösszeg emelésének mértéke 100.000,- Ft (licitküszöb).

A nyertes licitálóval a licit napjától számított 15 napon belül kell adásvételi szerződést kötni. A szerződéskötést követően az önkormányzat megkeresi a Magyar Államot az őt megillető elővásárlási jog kapcsán. A szerződés csak a nemleges nyilatkozat birtokában, vagy 35 napos válaszadási kötelezettség letelte után lesz hatályos. Az ingatlan vételárát a szerződés hatályba lépését követő 8 napon belül egy összegben kell megfizetni.

Amennyiben a szerződés megkötésére az ajánlattevő hibájából nem kerül sor, a befizetett foglaló (bánatpénz) a kiírót illeti meg.

A nyertes licitáló a vételár hiánytalan kifizetését követően veheti birtokba az ingatlant.

Az adásvételi szerződésben az ingatlan beépítésére vonatkozóan az alábbi kikötések kerülnek rögzítésre:

 - a tulajdonost terhelő beépítési kötelezettség melynek időtartama: a szerződés illetékkiszabásra történő bemutatásától számított 4 év,

 - a beépítési kötelezettség elmulasztása esetén a vevőnek kötbért kell fizetni, melynek mértéke az ingatlan vételárának 5%-a minden késedelmes év után

 - az önkormányzat a közművek kiépítését a szolgáltatóktól megrendelte, a közművek kiépültek.

 - elidegenítési tilalom bejegyeztetése a beépítés biztosítására

A liciteljárás eredménye ellen nincs jogorvoslatnak helye.

Az ajánlattevőnek a vételi szándéka bizonyítására 1.000.000,- Ft foglalót (bánatpénzt) a liciteljárás meghirdetőjének az Erste Banknál vezetett 11600006-00000000-76354634 számú számlájára a liciteljárás napját megelőző nap 12 órájáig be kell fizetnie ingatlanonként. A foglaló befizetéséről szóló igazolást a jelentkezéshez mellékelni kell. A kiíró ezzel az összeggel az önkormányzat vagyonrendeletében - 21/2016. (VII.6.) önkormányzati rendelet - a foglalóra meghatározott szabályok alapján rendelkezik. A nyertes ajánlattevő bánatpénzét a vételárba be kell számítani. A foglalót a liciteljárást követően – a nyertes licitáló kivételével – a licitálóknak 15 napon belül vissza kell téríteni, avagy a licitáló másik ingatlanra vonatkozóan kérheti a foglalót figyelembe venni.

Érvényes ajánlatot csak az tehet, aki a bánatpénzt befizette a liciteljárás napját megelőző nap 12 órájáig.

A liciteljáráson történő részvételre, a szerződés megkötésére vonatkozó szabályokat tartalmazó felhívás a „JELENTKEZÉSI ÉS NYILATKOZATI LAP”-pal együtt a Móri Polgármesteri Hivatal Városfejlesztési és -üzemeltetési Irodáján átvehető. Érdeklődni, további információt kérni 22/560-861 telefonszámon lehet.

A liciteljárásra történő jelentkezést a Móri Polgármesteri Hivatal Városfejlesztési és -üzemeltetési Irodáján (Mór, Szent István tér 6., földszint 2. számú iroda) kell leadni 2024. január 23-án 16:00 óráig. A liciteljárásra a Móri Polgármesteri Hivatal (Mór, Szent István tér 6.) emeleti Kistermében 2024. január 24-én 14:00 órakor kerül sor.

A kiíró az ajánlati felhívást a liciteljárás kezdetéig egyoldalúan visszavonhatja.

Dokumentumok

További hírek:

MÓRI POLGÁRMESTERI HIVATAL
Városfejlesztési és -üzemeltetési Iroda

pályázatot hirdet Közszolgálati jogviszony (Kttv.) keretében

VÁROSGONDNOK

Munkakör/feladatkör betöltésére.

MEGHÍVÓ

általános |

MEGHÍVÓ

Mór Városi Önkormányzat Képviselő-testülete

2025. szeptember 24. (szerda)

13:00 órakor

tartja soros nyilvános ülését, amelyre meghívom és egyúttal szíves megjelenését kérem.

Az ülés helye: Városháza - emeleti nagyterem

Ezúton tájékoztatjuk a Tisztelt Lakosságot, hogy az E.ON Hungária Zrt. folyamatos korszerűsítést hajt végre hálózatán. A tervszerű beavatkozások biztonságos elvégzése érdekében elengedhetetlen a vezeték időszakos feszültség-mentesítése.

A településen 0,4 kV-os hálózat karbantartások miatt szükséges munkálatok elvégzésének érdekében

2025. szeptember 30-án 08.00 órától várhatóan 16.00-óráig Móron

- Árpád u. egész területén,

- Dózsa Gy. u. 19 – 69. és 34 – 62.,

- Kórház u. 1 – 19., és 2 – 18.,

- Millennium tér egész területén az ingatlanokon áramszünet lesz.

A balesetek megelőzése érdekében felhívjuk figyelmét, hogy amennyiben áramfejlesztőt használ, akkor áramszolgáltatói engedély nélkül az aggregátort a belső hálózatra kötni - még a közcélú hálózatról leválasztott módon is -, szigorúan tilos!

A szolgáltatás átmeneti szüneteltetése miatt kérjük megértését!

A tervezett üzemszünetekről az alábbi internetes oldalon tájékozódhat:

www.eon-hungaria.com