HIRDETMÉNY - MÓR JEGENYE UTCAI TELKEK ÉRTÉKESÍTÉSE
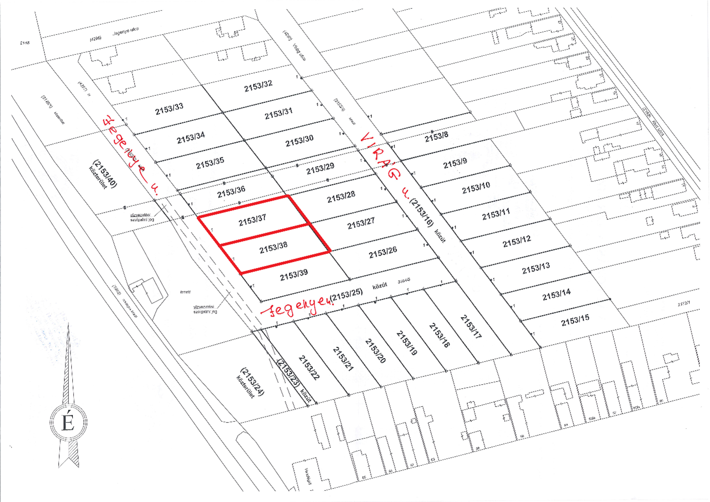
Mór Városi Önkormányzat (8060 Mór, Szt. István tér 6.) a tulajdonában levő Mór Jegenye utcában kialakított kivett beépítetlen terület megnevezésű tehermentes ingatlanokat értékesítésre meghirdeti építési telkek céljára.
A szabályozási terv Lke2 besorolása szerint az ingatlanra a jelenleg hatályos helyi építési előírások szerint maximálisan 30 %-os beépítési százalékkal, oldalhatáron álló építési helyen belül, maximum 5,5 m-es építménymagasságú épület helyezhető el, a területen a zölddel való fedettség legalább 50%.
A 2023. július 26-i liciteljáráson az ingatlanok kikiáltási ára: (a liciteljárás induló összege)
| Hrsz |
Terület nagyság (m2) |
Kikiáltási ár Ft (bruttó) |
| 2153/37 | 1033 |
8.655.000 |
|
2153/38 |
1033 |
8.655.000 |
A licitösszeg emelésének mértéke 100.000,- Ft (licitküszöb).
A nyertes licitálóval a licit napjától számított 15 napon belül kell adásvételi szerződést kötni. A szerződéskötést követően az önkormányzat megkeresi a Magyar Államot az őt megillető elővásárlási jog kapcsán. A szerződés csak a nemleges nyilatkozat birtokában, vagy 35 napos válaszadási kötelezettség letelte után lesz hatályos. Az ingatlan vételárát a szerződés hatályba lépését követő 8 napon belül egy összegben kell megfizetni.
Amennyiben a szerződés megkötésére az ajánlattevő hibájából nem kerül sor, a befizetett foglaló (bánatpénz) a kiírót illeti meg.
A nyertes licitáló a vételár hiánytalan kifizetését követően veheti birtokba az ingatlant.
Az adásvételi szerződésben az ingatlan beépítésére vonatkozóan az alábbi kikötések kerülnek rögzítésre:
- a tulajdonost terhelő beépítési kötelezettség melynek időtartama: a szerződés illetékkiszabásra történő bemutatásától számított 4 év,
- a beépítési kötelezettség elmulasztása esetén a vevőnek kötbért kell fizetni, melynek mértéke az ingatlan vételárának 5%-a minden késedelmes év után
- az önkormányzat a közművek kiépítését a szolgáltatóktól megrendelte, a közművek kiépültek, csak a Jegenye utcai 7 db ingatlan esetében a gerincvezetékre történő csatlakozás kiépítése várható 2023-ban (elektromos áram szennyvíz, vízhálózat és a gázközmű),
- elidegenítési tilalom bejegyeztetése a beépítés biztosítására
A liciteljárás eredménye ellen nincs jogorvoslatnak helye.
Az ajánlattevőnek a vételi szándéka bizonyítására 1.000.000,- Ft foglalót (bánatpénzt) a liciteljárás meghirdetőjének az Erste Banknál vezetett 11600006-00000000-76354634 számú számlájára a liciteljárás napját megelőző nap 12 órájáig be kell fizetnie ingatlanonként. A foglaló befizetéséről szóló igazolást a jelentkezéshez mellékelni kell. A kiíró ezzel az összeggel az önkormányzat vagyonrendeletében - 21/2016. (VII.6.) önkormányzati rendelet - a foglalóra meghatározott szabályok alapján rendelkezik. A nyertes ajánlattevő bánatpénzét a vételárba be kell számítani. A foglalót a liciteljárást követően – a nyertes licitáló kivételével – a licitálóknak 15 napon belül vissza kell téríteni, avagy a licitáló másik ingatlanra vonatkozóan kérheti a foglalót figyelembe venni.
Érvényes ajánlatot csak az tehet, aki a bánatpénzt befizette a liciteljárás napját megelőző nap 12 órájáig.
A liciteljáráson történő részvételre, a szerződés megkötésére vonatkozó szabályokat tartalmazó felhívás a „JELENTKEZÉSI ÉS NYILATKOZATI LAP”-pal együtt a Móri Polgármesteri Hivatal Városfejlesztési és -üzemeltetési Irodáján átvehető. Érdeklődni, további információt kérni 22/560-861 telefonszámon lehet.
A liciteljárásra történő jelentkezést a Móri Polgármesteri Hivatal Városfejlesztési és -üzemeltetési Irodáján (Mór, Szent István tér 6., földszint 2. számú iroda) kell leadni 2023. július 25-én 16:00 óráig. A liciteljárásra a Móri Polgármesteri Hivatal (Mór, Szent István tér 6.) emeleti Kistermében 2023. július 26-án 14:00 órakor kerül sor.
A kiíró az ajánlati felhívást a liciteljárás kezdetéig egyoldalúan visszavonhatja.
További hírek:
MEGHÍVÓ
általános | 2025. 10. 22.
MEGHÍVÓ
Mór Városi Önkormányzat Képviselő-testülete
2025. október 29. (szerda)
13:00 órakor
tartja soros nyilvános ülését, amelyre meghívom és egyúttal szíves megjelenését kérem.
Az ülés helye: Városháza - emeleti nagyterem
FELHÍVÁS - Adventi Vásározóknak
általános | 2025. 10. 22.

Márton-napi programok
általános | 2025. 10. 22.

FRISSÍTÉS! - Népegészségügyi Roadshow Móron
általános | 2025. 10. 15.
TÁJÉKOZTATÁS!
A szűrővizsgálatokra
minden rendelkezésre
álló időpont
BETELT.
ÜNNEPI MEGEMLÉKEZÉS - 1956-os forradalom és szabadságharc 69. évfordulója
általános | 2025. 10. 15.









