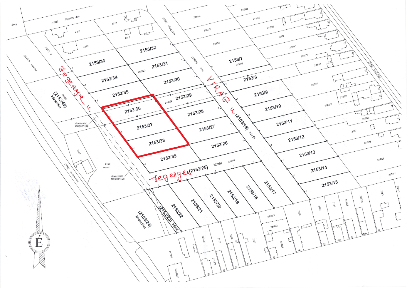
HIRDETMÉNY - MÓR JEGENYE UTCAI TELKEK ÉRTÉKESÍTÉSE

létrehozva: 2023. 03. 31.
frissítve: 2023. 03. 31.

Mór Városi Önkormányzat (8060 Mór, Szt. István tér 6.) a tulajdonában levő Mór Jegenye utcában kialakított kivett beépítetlen terület megnevezésű tehermentes ingatlanokat értékesítésre meghirdeti építési telkek céljára.

A szabályozási terv Lke2 besorolása szerint az ingatlanra a jelenleg hatályos helyi építési előírások szerint maximálisan 30 %-os beépítési százalékkal, oldalhatáron álló építési helyen belül, maximum 5,5 m-es építménymagasságú épület helyezhető el, a területen a zölddel való fedettség legalább 50%.

A 2023. április 27-i liciteljáráson az ingatlanok kikiáltási ára: (a liciteljárás induló összege)

Hrsz Terület nagyság (m2) Kikiáltási ár Ft (bruttó)

2153/36

1033

8.655.000

2153/37

1033

8.655.000

2153/38

1033

8.655.000

A licitösszeg emelésének mértéke 100.000,- Ft (licitküszöb).

A nyertes licitálóval a licit napjától számított 15 napon belül kell adásvételi szerződést kötni. A szerződéskötést követően az önkormányzat megkeresi a Magyar Államot az őt megillető elővásárlási jog kapcsán. A szerződés csak a nemleges nyilatkozat birtokában, vagy 35 napos válaszadási kötelezettség letelte után lesz hatályos. Az ingatlan vételárát a szerződés hatályba lépését követő 8 napon belül egy összegben kell megfizetni.

Amennyiben a szerződés megkötésére az ajánlattevő hibájából nem kerül sor, a befizetett foglaló (bánatpénz) a kiírót illeti meg.

A nyertes licitáló a vételár hiánytalan kifizetését követően veheti birtokba az ingatlant.

Az adásvételi szerződésben az ingatlan beépítésére vonatkozóan az alábbi kikötések kerülnek rögzítésre:

a tulajdonost terhelő beépítési kötelezettség melynek időtartama: a szerződés illetékkiszabásra történő bemutatásától számított 4 év,

a beépítési kötelezettség elmulasztása esetén a vevőnek kötbért kell fizetni, melynek mértéke az ingatlan vételárának 5%-a minden késedelmes év után

az önkormányzat a közművek kiépítését a szolgáltatóktól megrendelte, a közművek kiépültek, csak a Jegenye utcai 7 db ingatlan esetében a gerincvezetékre történő csatlakozás kiépítése várható 2023-ban (elektromos áram szennyvíz, vízhálózat és a gázközmű),

elidegenítési tilalom bejegyeztetése a beépítés biztosítására

A liciteljárás eredménye ellen nincs jogorvoslatnak helye.

Az ajánlattevőnek a vételi szándéka bizonyítására 1.000.000,- Ft foglalót (bánatpénzt) a liciteljárás meghirdetőjének az Erste Banknál vezetett 11600006-00000000-76354634 számú számlájára a liciteljárás napját megelőző nap 12 órájáig be kell fizetnie ingatlanonként. A foglaló befizetéséről szóló igazolást a jelentkezéshez mellékelni kell. A kiíró ezzel az összeggel az önkormányzat vagyonrendeletében - 21/2016. (VII.6.) önkormányzati rendelet - a foglalóra meghatározott szabályok alapján rendelkezik. A nyertes ajánlattevő bánatpénzét a vételárba be kell számítani. A foglalót a liciteljárást követően – a nyertes licitáló kivételével – a licitálóknak 15 napon belül vissza kell téríteni, avagy a licitáló másik ingatlanra vonatkozóan kérheti a foglalót figyelembe venni.

Érvényes ajánlatot csak az tehet, aki a bánatpénzt befizette a liciteljárás napját megelőző nap 12 órájáig.

A liciteljáráson történő részvételre, a szerződés megkötésére vonatkozó szabályokat tartalmazó felhívás a „JELENTKEZÉSI ÉS NYILATKOZATI LAP”-pal együtt a Móri Polgármesteri Hivatal Városfejlesztési és -üzemeltetési Irodáján átvehető. Érdeklődni, további információt kérni 22/560-861 telefonszámon lehet.

A liciteljárásra történő jelentkezést a Móri Polgármesteri Hivatal Városfejlesztési és -üzemeltetési Irodáján (Mór, Szent István tér 6., földszint 2. számú iroda) kell leadni 2023. április 26-án 16:00 óráig. A liciteljárásra a Móri Polgármesteri Hivatal (Mór, Szent István tér 6.) emeleti Kistermében 2023. április 27-én 14:00 órakor kerül sor.

A kiíró az ajánlati felhívást a liciteljárás kezdetéig egyoldalúan visszavonhatja.

További hírek:

Fogyatékkal élők nappali foglalkoztató épületének kialakítása Móron

Tájékoztatjuk a Tisztelt Lakosságot, hogy a Terület- és Településfejlesztési Operatív Program Plusz keretében:

  • a Mór, Lovarda u. 2., hrsz.27. alatt található épület teljes egészében átalakításra és korszerűsítésre kerül a fogyatékkal élő személyek nappali ellátásának biztosítására.

  • A fejlesztés elsődleges célcsoportja a településen és a járásban élő fogyatékkal élő személyek, akik és családtagjaik számára a nappali foglalkoztatás segítséget jelent a mindennapi tevékenységük fenntartásában, illetve segít elkerülni a bentlakásos intézményi ellátást.

  • A felújítás keretében épületgépészeti, épületvillamossági és épületszerkezeti fejlesztésekre kerül sor, valamint tetőcsere is történik. A fejlesztés magában foglalja a kertfelület rendbetételét, illetve 25 fő ellátására szolgáló melegítőkonyha kialakítását is. A célcsoportra tekintettel az épület teljeskörűen akadálymentesítésre kerül, és az udvaron egy akadálymentes parkoló is létesül.

 

A projekt az Európai Unió támogatásával, a Magyar Állam társfinanszírozásával valósul meg.

A támogatás összege: 221 millió forint

 

A Projekt címe és azonosítószáma:

Fogyatékkal élők nappali foglalkoztató épületének kialakítása Móron

TOP_PLUSZ-3.4.1-23-MR1-2025-00001

Tervezett befejezési dátum: 2028.12.31.

 

KÖZREMŰKÖDŐ PARTNEREK
Székesfehérvári Egyházmegyei Karitász
Bice-Bóca Hátrányos helyzetűek és Nagycsaládosok Egyesülete
 

Pályázati felhívás - civil szervezetek részére

Mór Városi Önkormányzat Képviselő-testületének pályázati kiírása civil szervezetek részére a civil szervezetek pályázati és eseti önkormányzati támogatásáról szóló 21/2015.(VI.3.) önkormányzati rendelete alapján.

Az Önkormányzat elismeri, megbecsüli a civil szervezetek helyi közéletre gyakorolt hatását és támogatja a kultúra, a hagyományok ápolása, a nevelés-oktatás, a szociális és karitatív tevékenység, az arra rászorulók megsegítése, az egészséges életmód a sportolás feltételeinek megteremtése, a természeti és épített környezet megóvása, a közrend és vagyonvédelem, továbbá az esélyegyenlőség megteremtése terén végzett tevékenységét.

Német nemzetiségi tanulmányi ösztöndíj 2025/2026. tanévre

A nemzetiségek jogairól szóló 2011. évi CXCIX. törvény 116. §-a alapján Német Nemzetiségi Önkormányzat Mór ösztöndíjat alapított.

Az ösztöndíj anyagi hátterét a nemzetiségi önkormányzat saját költségvetéséből biztosítja.

Az ösztöndíjat a 2026. évben 3 fő kaphatja meg, egy általános iskolai, egy középiskolai, és egy felsőoktatási intézményben nappali/levelező tagozaton tanuló hallgató.

KÖZLEMÉNY a 1595/2025. (XII.31.) korm. határozat alapján kapott támogatásról

Tisztelt Móriak!

Ezúton tájékoztatjuk Önöket, hogy Mór Városi Önkormányzat a 2025. évben a Területfejlesztési Alapba a Versenyképes Járások Programból kapott támogatást meghaladó összegű befizetést teljesített.
Ezért Magyarország Kormánya - a közigazgatási és területfejlesztési miniszter, mint támogató útján - a Területfejlesztési Alapba történő befizetése 30 201 483 forint összegű részét számára támogatásként visszatérítette.

A Támogatás a Képviselő-Testület 4/2026. (I.19.) számú határozata alapján a Vértes utca hátsó útjának és garázsbeállóinak helyreállításához kerül felhasználásra.

Mór Felsődobosra Vezető 81118j. közút korszerűsítése

Tájékoztatjuk a Tisztelt lakosságot, hogy a Terület- és Településfejlesztési Operatív Program Plusz keretében:

  • Útburkolat felújítása és szélesítése
  • Csapadékvíz-elvezetés kiépítése
  • Forgalomtechnikai elemek korszerűsítése
  • Autóbuszmegállók korszerűsítése

valósul meg.

 

 

 

A projekt az Európai Unió támogatásával, a Magyar Állam társfinanszírozásával valósul meg.

A támogatás összege: 340 millió forint

 

A Projekt címe és azonosítószáma:

Mór Felsődobosra Vezető 81118j. közút korszerűsítése, TOP_PLUSZ-6.2.1-23-MR1-2025-00003

Projekt fizikai befejezésének dátuma: 2029.04.30.
A korszerűsítés a tervek szerint a 2027-ig meg fog valósulni.
 

Konzorciumi Partner:
Magyar Közút Nonprofit Zrt.