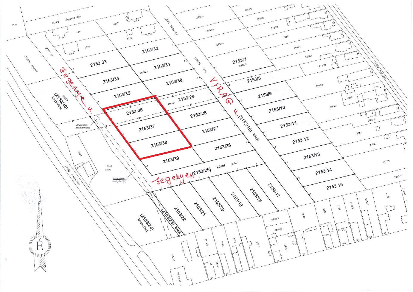
HIRDETMÉNY - MÓR JEGENYE UTCAI TELKEK ÉRTÉKESÍTÉSE

létrehozva: 2023. 05. 22.
frissítve: 2023. 05. 22.

Mór Városi Önkormányzat (8060 Mór, Szt. István tér 6.) a tulajdonában levő Mór Jegenye utcában kialakított kivett beépítetlen terület megnevezésű tehermentes ingatlanokat értékesítésre meghirdeti építési telkek céljára.

A szabályozási terv Lke2 besorolása szerint az ingatlanra a jelenleg hatályos helyi építési előírások szerint maximálisan 30 %-os beépítési százalékkal, oldalhatáron álló építési helyen belül, maximum 5,5 m-es építménymagasságú épület helyezhető el, a területen a zölddel való fedettség legalább 50%.

A 2023. június 14-i liciteljáráson az ingatlanok kikiáltási ára: (a liciteljárás induló összege)

Hrsz

Terület nagyság (m2)

Kikiáltási ár Ft (bruttó)

2153/36

1033 8.655.000

2153/37

1033 8.655.000

2153/38

1033 8.655.000

A licitösszeg emelésének mértéke 100.000,- Ft (licitküszöb).

A nyertes licitálóval a licit napjától számított 15 napon belül kell adásvételi szerződést kötni. A szerződéskötést követően az önkormányzat megkeresi a Magyar Államot az őt megillető elővásárlási jog kapcsán. A szerződés csak a nemleges nyilatkozat birtokában, vagy 35 napos válaszadási kötelezettség letelte után lesz hatályos. Az ingatlan vételárát a szerződés hatályba lépését követő 8 napon belül egy összegben kell megfizetni.

Amennyiben a szerződés megkötésére az ajánlattevő hibájából nem kerül sor, a befizetett foglaló (bánatpénz) a kiírót illeti meg.

A nyertes licitáló a vételár hiánytalan kifizetését követően veheti birtokba az ingatlant.

Az adásvételi szerződésben az ingatlan beépítésére vonatkozóan az alábbi kikötések kerülnek rögzítésre:

 - a tulajdonost terhelő beépítési kötelezettség melynek időtartama: a szerződés illetékkiszabásra történő bemutatásától számított 4 év,

 - a beépítési kötelezettség elmulasztása esetén a vevőnek kötbért kell fizetni, melynek mértéke az ingatlan vételárának 5%-a minden késedelmes év után

 - az önkormányzat a közművek kiépítését a szolgáltatóktól megrendelte, a közművek kiépültek, csak a Jegenye utcai 7 db ingatlan esetében a gerincvezetékre történő csatlakozás kiépítése várható 2023-ban (elektromos áram szennyvíz, vízhálózat és a gázközmű),

 - elidegenítési tilalom bejegyeztetése a beépítés biztosítására

A liciteljárás eredménye ellen nincs jogorvoslatnak helye.

Az ajánlattevőnek a vételi szándéka bizonyítására 1.000.000,- Ft foglalót (bánatpénzt) a liciteljárás meghirdetőjének az Erste Banknál vezetett 11600006-00000000-76354634 számú számlájára a liciteljárás napját megelőző nap 12 órájáig be kell fizetnie ingatlanonként. A foglaló befizetéséről szóló igazolást a jelentkezéshez mellékelni kell. A kiíró ezzel az összeggel az önkormányzat vagyonrendeletében - 21/2016. (VII.6.) önkormányzati rendelet - a foglalóra meghatározott szabályok alapján rendelkezik. A nyertes ajánlattevő bánatpénzét a vételárba be kell számítani. A foglalót a liciteljárást követően – a nyertes licitáló kivételével – a licitálóknak 15 napon belül vissza kell téríteni, avagy a licitáló másik ingatlanra vonatkozóan kérheti a foglalót figyelembe venni.

Érvényes ajánlatot csak az tehet, aki a bánatpénzt befizette a liciteljárás napját megelőző nap 12 órájáig.

A liciteljáráson történő részvételre, a szerződés megkötésére vonatkozó szabályokat tartalmazó felhívás a „JELENTKEZÉSI ÉS NYILATKOZATI LAP”-pal együtt a Móri Polgármesteri Hivatal Városfejlesztési és -üzemeltetési Irodáján átvehető. Érdeklődni, további információt kérni 22/560-861 telefonszámon lehet.

A liciteljárásra történő jelentkezést a Móri Polgármesteri Hivatal Városfejlesztési és -üzemeltetési Irodáján (Mór, Szent István tér 6., földszint 2. számú iroda) kell leadni 2023. június 13-án 16:00 óráig. A liciteljárásra a Móri Polgármesteri Hivatal (Mór, Szent István tér 6.) emeleti Kistermében 2023. június 14-én 14:00 órakor kerül sor.

A kiíró az ajánlati felhívást a liciteljárás kezdetéig egyoldalúan visszavonhatja.

További hírek:

MEGHÍVÓ

általános |

MEGHÍVÓ

Mór Városi Önkormányzat Képviselő-testülete

2025. augusztus 27. (szerda)

13:00 órakor

tartja soros nyilvános ülését, amelyre meghívom és egyúttal szíves megjelenését kérem.

Az ülés helye: Városháza - emeleti nagyterem

Kedves Pedagógusok! Kedves Szülők!

Alkotni szerető általános iskolai Tanulók!

Az október 2-5-ig megrendezésre kerülő Móri Bornapok Népzenei és Néptánc Fesztivál keretében már szervezzük a XXXII. Gyermek-és Ifjúsági Képzőművészeti Kiállítást a város általános iskolás tanulói számára.  Egyéni és csoportos alkotásokat várunk az alsó és felső tagozatos diákoktól.

RAJZOLJATOK, FESSETEK ÉS SZEPTEMBERBEN ADJÁTOK LE ALKOTÁSAITOKAT TANÁRAITOKNAK!