HIRDETMÉNY MÓR JEGENYE UTCAI TELKEK ÉRTÉKESÍTÉSÉRŐL

létrehozva: 2022. 04. 21.
frissítve: 2022. 04. 21.

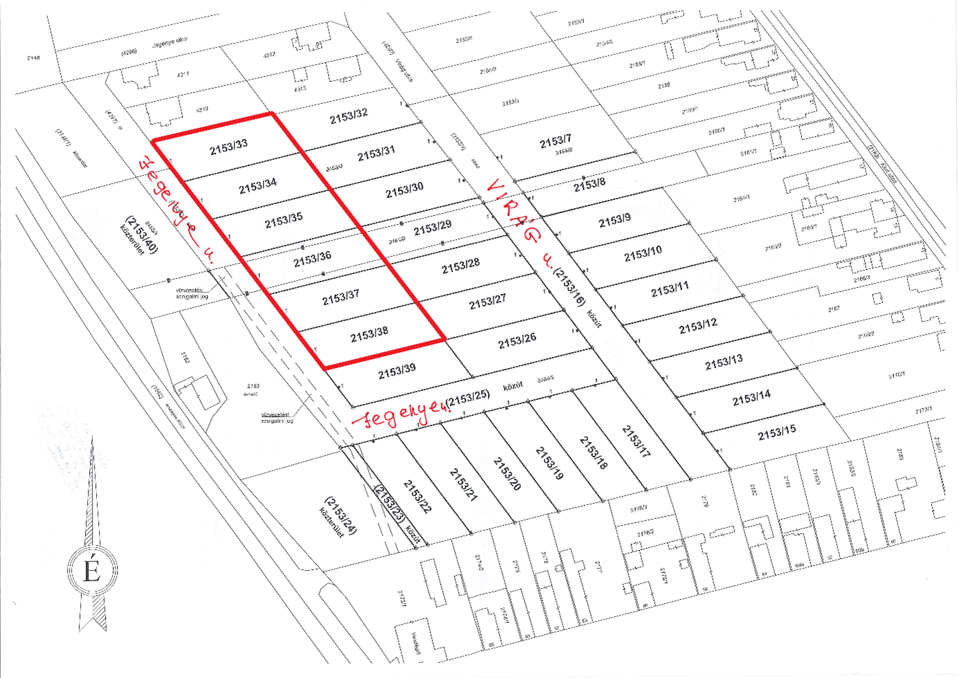
Mór Városi Önkormányzat (8060 Mór, Szt. István tér 6.) a tulajdonában levő Mór Jegenye utcában kialakított kivett beépítetlen terület megnevezésű tehermentes ingatlanokat értékesítésre meghirdeti építési telkek céljára.

A szabályozási terv Lke17* besorolása szerint az ingatlanra a jelenleg hatályos helyi építési előírások szerint maximálisan 30 %-os beépítési százalékkal, oldalhatáron álló építési helyen belül, maximum 5,5 m-es építménymagasságú épület helyezhető el, a területen a zölddel való fedettség legalább 40%.

A 2022. június 1-jei liciteljáráson az ingatlanok kikiáltási ára: (a liciteljárás induló összege)

Hrsz Terület nagyság (m2) Kikiáltási ár Ft (bruttó)
2153/33 1064 8.915.000
2153/34 1032 8.647.000
2153/35 1032 8.647.000
2153/36 1033 8.655.000
2153/37 1033 8.655.000
2153/38 1033 8.655.000

A licitösszeg emelésének mértéke 100.000,- Ft (licitküszöb).

A nyertes licitálóval a licit napjától számított 15 napon belül kell adásvételi szerződést kötni. A szerződéskötést követően az önkormányzat megkeresi a Magyar Államot az őt megillető elővásárlási jog kapcsán. A szerződés csak a nemleges nyilatkozat birtokában, vagy 35 napos válaszadási kötelezettség letelte után lesz hatályos. Az ingatlan vételárát a szerződés hatályba lépését követő 8 napon belül egy összegben kell megfizetni.

Amennyiben a szerződés megkötésére az ajánlattevő hibájából nem kerül sor, a befizetett foglaló (bánatpénz) a kiírót illeti meg.

A nyertes licitáló a vételár hiánytalan kifizetését követően veheti birtokba az ingatlant.

Az adásvételi szerződésben az ingatlan beépítésére vonatkozóan az alábbi kikötések kerülnek rögzítésre:

  • a tulajdonost terhelő beépítési kötelezettség melynek időtartama: a szerződés illetékkiszabásra történő bemutatásától számított 4 év,
  • a beépítési kötelezettség elmulasztása esetén a vevőnek kötbért kell fizetni, melynek mértéke az ingatlan vételárának 5%-a minden késedelmes év után
  • az önkormányzat a közművek kiépítését a szolgáltatóktól megrendelte, a közművek kiépültek (elektromos áram szennyvíz, vízhálózat és a gázközmű),
  • elidegenítési tilalom bejegyeztetése a beépítés biztosítására

A liciteljárás eredménye ellen nincs jogorvoslatnak helye.

Az ajánlattevőnek a vételi szándéka bizonyítására 1.000.000,- Ft foglalót (bánatpénzt) a liciteljárás meghirdetőjének az Erste Banknál vezetett 11600006-00000000-76354634 számú számlájára a liciteljárás napját megelőző nap 12 órájáig be kell fizetnie ingatlanonként. A foglaló befizetéséről szóló igazolást a jelentkezéshez mellékelni kell. A kiíró ezzel az összeggel az önkormányzat vagyonrendeletében - 21/2016. (VII.6.) önkormányzati rendelet - a foglalóra meghatározott szabályok alapján rendelkezik. A nyertes ajánlattevő bánatpénzét a vételárba be kell számítani. A foglalót a liciteljárást követően – a nyertes licitáló kivételével – a licitálóknak 15 napon belül vissza kell téríteni, avagy a licitáló másik ingatlanra vonatkozóan kérheti a foglalót figyelembe venni.

Érvényes ajánlatot csak az tehet, aki a bánatpénzt befizette a liciteljárás napját megelőző nap 12 órájáig.

A liciteljáráson történő részvételre, a szerződés megkötésére vonatkozó szabályokat tartalmazó felhívás a „JELENTKEZÉSI ÉS NYILATKOZATI LAP”-pal együtt a Móri Polgármesteri Hivatal Városfejlesztési és -üzemeltetési Irodáján átvehető. Érdeklődni, további információt kérni 22/560-861 telefonszámon lehet.

A liciteljárásra történő jelentkezést a Móri Polgármesteri Hivatal Városfejlesztési és -üzemeltetési Irodáján (Mór, Szent István tér 6., földszint 2. számú iroda) kell leadni 2022. május 31-én 16:00 óráig. A liciteljárásra a Móri Polgármesteri Hivatal (Mór, Szent István tér 6.) emeleti Kistermében 2022. június 1-én 14:00 órakor kerül sor.

A kiíró az ajánlati felhívást a liciteljárás kezdetéig egyoldalúan visszavonhatja.

További hírek:

TÁJÉKOZTATÁS ÁRAMSZÜNETRŐL

Ezúton tájékoztatjuk a Tisztelt Lakosságot, hogy az E.ON Hungária Zrt. folyamatos korszerűsítést hajt végre hálózatán. A tervszerű beavatkozások biztonságos elvégzése érdekében elengedhetetlen a vezeték időszakos feszültség-mentesítése.

A településen 0,4 kV-os hálózat karbantartások miatt szükséges munkálatok elvégzésének érdekében

2025. szeptember 30-án 08.00 órától várhatóan 16.00-óráig Móron

- Árpád u. egész területén,

- Dózsa Gy. u. 19 – 69. és 34 – 62.,

- Kórház u. 1 – 19., és 2 – 18.,

- Millennium tér egész területén az ingatlanokon áramszünet lesz.

A balesetek megelőzése érdekében felhívjuk figyelmét, hogy amennyiben áramfejlesztőt használ, akkor áramszolgáltatói engedély nélkül az aggregátort a belső hálózatra kötni - még a közcélú hálózatról leválasztott módon is -, szigorúan tilos!

A szolgáltatás átmeneti szüneteltetése miatt kérjük megértését!

A tervezett üzemszünetekről az alábbi internetes oldalon tájékozódhat:

www.eon-hungaria.com

KÖZLEMÉNY közhírré tétele - M200 autóúttal kapcsolatban

A Fejér Vármegyei Kormányhivatal Környezetvédelmi, Természetvédelmi és Hulladékgazdálkodási Főosztályán az MKIF Magyar Koncessziós Infrastruktúra Fejlesztő Zrt. (2040 Budaörs, Akron utca 2.) kérelme alapján a Komárom – Kisigmánd (M1 autópálya) – Kisbér – Székesfehérvár (M7 autópálya) – Sárbogárd (M8 gyorsforgalmi út) útvonal fejlesztése keretében megtervezett M200 autóúthoz kapcsolódó, Fejér vármegye területét érintő földutak építése tárgyában előzetes vizsgálati eljárás indult.

Az eljárásban a kérelem és mellékletei elektronikus példányába betekintési lehetőség biztosított a Városfejlesztési és -üzemeltetési Irodán ügyfélfogadási időben.

Ügyfélfogadási idő:
Hétfő:   8:00-12:00 és 13:00-16:00
Szerda: 8:00-12:00 és 13:00-16:00
Péntek: 8:00-13:00

A környezetvédelmi hatósági eljárás megindításáról szóló közlemény a csatolmányban olvasható.

KÖZLEMÉNY közhírré tétele - M200 autóúthoz kapcsolódóan

A Fejér Vármegyei Kormányhivatal Környezetvédelmi, Természetvédelmi és Hulladékgazdálkodási Főosztályán az MKIF Magyar Koncessziós Infrastruktúra Fejlesztő Zrt. (2040 Budaörs, Akron utca 2.) kérelme alapján a Komárom – Kisigmánd (M1 autópálya) – Kisbér – Székesfehérvár (M7 autópálya) – Sárbogárd (M8 gyorsforgalmi út) útvonal fejlesztése keretében megtervezett 8209 j. út, valamint a 81 sz. főút és a 81117 j. út korrekciójának tárgyában előzetes vizsgálati eljárás indult.

Az eljárásban a kérelem és mellékletei elektronikus példányába betekintési lehetőség biztosított a Városfejlesztési és -üzemeltetési Irodán ügyfélfogadási időben.

Ügyfélfogadási idő:
Hétfő:   8:00-12:00 és 13:00-16:00
Szerda: 8:00-12:00 és 13:00-16:00
Péntek: 8:00-13:00

A környezetvédelmi hatósági eljárás megindításáról szóló közlemény a csatolmányban olvasható.

KÖZLEMÉNY közhírré tétele - M200 autóúthoz kapcsolódóan

A Fejér Vármegyei Kormányhivatal Környezetvédelmi, Természetvédelmi és Hulladékgazdálkodási Főosztályán az MKIF Magyar Koncessziós Infrastruktúra Fejlesztő Zrt. (2040 Budaörs, Akron utca 2.) kérelme alapján a Komárom – Kisigmánd (M1 autópálya) – Kisbér – Székesfehérvár (M7 autópálya) – Sárbogárd (M8 gyorsforgalmi út) útvonal fejlesztése keretében megtervezett 8216 j. út és a hozzá kapcsolódó 82101 j. út korrekciójának tárgyában előzetes vizsgálati eljárás indult.

Az eljárásban a kérelem és mellékletei elektronikus példányába betekintési lehetőség biztosított a Városfejlesztési és -üzemeltetési Irodán ügyfélfogadási időben.

Ügyfélfogadási idő:
Hétfő:   8:00-12:00 és 13:00-16:00
Szerda: 8:00-12:00 és 13:00-16:00
Péntek: 8:00-13:00

A környezetvédelmi hatósági eljárás megindításáról szóló közlemény a csatolmányban olvasható.

KÖZLEMÉNY közhírré tétele - M200 autóúthoz kapcsolódóan

A Fejér Vármegyei Kormányhivatal Környezetvédelmi, Természetvédelmi és Hulladékgazdálkodási Főosztályán az MKIF Magyar Koncessziós Infrastruktúra Fejlesztő Zrt. (2040 Budaörs, Akron utca 2.) kérelme alapján a Komárom – Kisigmánd (M1 autópálya) – Kisbér – Székesfehérvár (M7 autópálya) – Sárbogárd (M8 gyorsforgalmi út) útvonal fejlesztése keretében megtervezett Mór északi összekötő út építése és a hozzá kapcsolódó 81 sz. főút korrekciója tárgyában előzetes vizsgálati eljárás indult.

Az eljárásban a kérelem és mellékletei elektronikus példányába betekintési lehetőség biztosított a Városfejlesztési és -üzemeltetési Irodán ügyfélfogadási időben.

Ügyfélfogadási idő:
Hétfő:   8:00-12:00 és 13:00-16:00
Szerda: 8:00-12:00 és 13:00-16:00
Péntek: 8:00-13:00

A környezetvédelmi hatósági eljárás megindításáról szóló közlemény a csatolmányban olvasható.