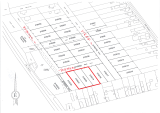
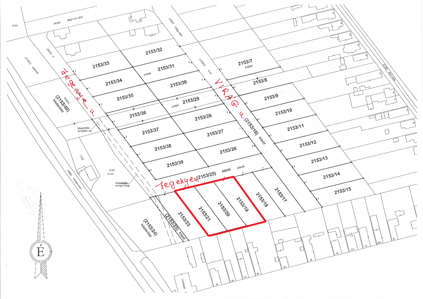
MÓR JEGENYE UTCAI TELKEK ÉRTÉKESÍTÉSE

létrehozva: 2021. 09. 28.
frissítve: 2021. 11. 29.

Mór Városi Önkormányzat (8060 Mór, Szt. István tér 6.) a tulajdonában levő Mór Jegenye utcában kialakított kivett beépítetlen terület megnevezésű tehermentes ingatlanokat értékesítésre meghirdeti építési telkek céljára.

A szabályozási terv Lke17* besorolása szerint maximum 5,5 m-es építménymagasságú, oldalhatáron álló épület helyezhető el, a terület maximális beépíthetősége 30%, a területen a zölddel való fedettség 40%.

 

A 2021. október 28-i liciteljáráson az ingatlanok kikiáltási ára: (a liciteljárás induló összege)

Hrsz Terület nagyság (m2) Kikiáltási érték Ft (bruttó)
2153/19 1000 7.960.000
2153/20 997 7.936.000
2153/21 1001 7.968.000

 

A licitösszeg emelésének mértéke 100.000,- Ft (licitküszöb).

A nyertes licitálóval a licit napjától számított 15 napon belül kell adásvételi szerződést kötni. A szerződéskötést követően az önkormányzat megkeresi a Magyar Államot az őt megillető elővásárlási jog kapcsán. A szerződés csak a nemleges nyilatkozat birtokában, vagy 35 napos válaszadási kötelezettség letelte után lesz hatályos. Az ingatlan vételárát a szerződés hatályba lépését követő 8 napon belül egy összegben kell megfizetni.

Amennyiben a szerződés megkötésére az ajánlattevő hibájából nem kerül sor, a befizetett foglaló (bánatpénz) a kiírót illeti meg.

A nyertes licitáló a vételár hiánytalan kifizetését követően veheti birtokba az ingatlant.

Az adásvételi szerződésben az ingatlan beépítésére vonatkozóan az alábbi kikötések kerülnek rögzítésre:

a tulajdonost terhelő beépítési kötelezettség melynek időtartama: a szerződés illetékkiszabásra történő bemutatásától számított 4 év,

a beépítési kötelezettség elmulasztása esetén a vevőnek kötbért kell fizetni, melynek mértéke az ingatlan vételárának 5%-a minden késedelmes év után

az önkormányzat a közművek kiépítését a szolgáltatóktól megrendelte, elektromos áram és a szennyvíz hálózat kiépült, víz- és a gázközmű kiépítése 2021. november 30-ig várható,

elidegenítési tilalom bejegyeztetése a beépítés biztosítására

A liciteljárás eredménye ellen nincs jogorvoslatnak helye.

Az ajánlattevőnek a vételi szándéka bizonyítására 1.000.000,- Ft foglalót (bánatpénzt) a liciteljárás meghirdetőjének az Erste Banknál vezetett 11600006-00000000-76354634 számú számlájára a liciteljárás napját megelőző nap 12 órájáig be kell fizetnie ingatlanonként. A foglaló befizetéséről szóló igazolást a jelentkezéshez mellékelni kell. A kiíró ezzel az összeggel az önkormányzat vagyonrendeletében - 21/2016. (VII.6.) önkormányzati rendelet - a foglalóra meghatározott szabályok alapján rendelkezik. A nyertes ajánlattevő bánatpénzét a vételárba be kell számítani. A foglalót a liciteljárást követően – a nyertes licitáló kivételével – a licitálóknak 15 napon belül vissza kell téríteni, avagy a licitáló másik ingatlanra vonatkozóan kérheti a foglalót figyelembe venni.

Érvényes ajánlatot csak az tehet, aki a bánatpénzt befizette a liciteljárás napját megelőző nap 12 órájáig.

A liciteljáráson történő részvételre, a szerződés megkötésére vonatkozó szabályokat tartalmazó felhívás a „JELENTKEZÉSI ÉS NYILATKOZATI LAP”-pal együtt a Móri Polgármesteri Hivatal Városfejlesztési és -üzemeltetési Irodáján átvehető. Érdeklődni, további információt kérni 22/560-861 telefonszámon lehet.

A liciteljárásra történő jelentkezést a Móri Polgármesteri Hivatal Városfejlesztési és -üzemeltetési Irodáján (Mór, Szent István tér 6., földszint 2. számú iroda) kell leadni 2021. október 27-én 16:00 óráig. A liciteljárásra a Móri Polgármesteri Hivatal (Mór, Szent István tér 6.) emeleti Kistermében 2021. október 28-án 14:00 órakor kerül sor.

A kiíró az ajánlati felhívást a liciteljárás kezdetéig egyoldalúan visszavonhatja.

További hírek:

FELHÍVÁS VERSENYTÁRGYALÁSRA - Üzlethelyiségek

Mór Városi Önkormányzat Képviselő-testülete nevében

– 32/2015. (VIII.31.) Ök. rendelet (továbbiakban: Rendelet)

5. § (1) bekezdésben kapott felhatalmazás alapján –

az Önkormányzat tulajdonát képező alábbi ingatlan/ok

(nem lakáscélú helyiségek) vonatkozásában

MÓR-HOLDING Kft. pályázatot ír ki,

és nyilvános versenytárgyalás keretében bérbe adja:

FELHÍVÁS VERSENYTÁRGYALÁSRA - Istálló

Mór Városi Önkormányzat Képviselő-testülete nevében

– 32/2015. (VIII.31.) Ök. rendelet (továbbiakban: Rendelet)

5. § (1) bekezdésben kapott felhatalmazás alapján –

az Önkormányzat tulajdonát képező alábbi ingatlan/ok

(nem lakáscélú helyiségek) vonatkozásában

MÓR-HOLDING Kft. pályázatot ír ki,

és nyilvános versenytárgyalás keretében bérbe adja:

FELHÍVÁS VERSENYTÁRGYALÁSRA - Vásárcsarnok

Mór Városi Önkormányzat Képviselő-testülete nevében

– 32/2015. (VIII.31.) Ök. rendelet (továbbiakban: Rendelet)

5. § (1) bekezdésben kapott felhatalmazás alapján –

az Önkormányzat tulajdonát képező alábbi ingatlan/ok

(nem lakáscélú helyiségek) vonatkozásában

MÓR-HOLDING Kft. pályázatot ír ki,

és nyilvános versenytárgyalás keretében bérbe adja:

TÁJÉKOZTATÁS az Egészségvonal elérhetőségéről és az EgészségAblak Applikációról

...

Az alábbiakban tájékoztatjuk a Tisztelt Lakosságot

az Egészségvonal elérhetőségéről, céljáról,

az időpontfoglalás módjáról, továbbá

az EgészségAblak applikáció

használatáról szóló tájékoztató eléréséről.

 

FÓKUSZBAN A MEGELŐZÉS! - Népegészségügyi Roadshow Móron

 

Magyarország átfogó egészségvédelmi szűrőprogramja

2010-2020-2030 keretében megvalósuló

NÉPEGÉSZSÉGÜGYI ROADSHOW MÓRON.

IDŐPONT: 2025. október 15.

HELYSZÍN:  Wekerle Sándor Szabadidő Központ (8060 Mór, Táncsics Mihály u. 25.)

NYITVATARTÁS:  9.00-16.00 (Megnyitó - sorszámok kiadása 9.00)